Schäden an Flieder
 
  Schäden an Flieder
Schädlinge und Krankheiten mindern den Schmuckwert
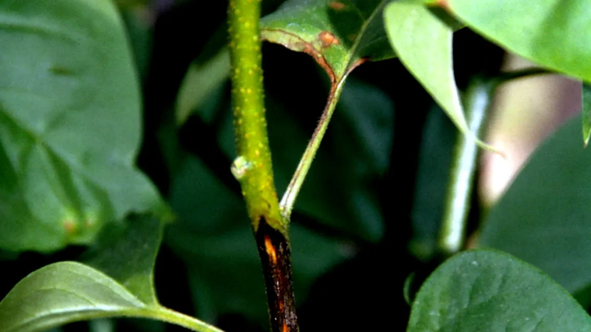
Fliedersträucher, hier meist die Syringa-vulgaris-Hybriden, findet man in fast jedem Garten. Sie bieten mit ihren weißen, lila, violetten oder rötlichen, einfachen und gefüllten Blütenrispen eine gestalterische Vielfalt und betören mit ihrem Duft. Für einen reichen Flor sind sie ausreichend mit Dünger zu versorgen, im Abstand mehrerer Jahre zu verjüngen und regelmäßig auf mögliche Schaderreger zu kontrollieren. Die Freude an diesen Blütensträuchern kann durch verschiedene Schädlinge und Krankheiten verdorben werden. Im Folgenden werden häufiger vorkommende Schädigungen oder solche, die ein auffälliges Schadbild verursachen, näher beschrieben.Bakterien-Triebfäule, Fliederseuche – Pseudomonas syringae
Die Rinde junger Triebe ist im Mai/Juni oft einseitig streifenförmig dunkelbraun bis schwarz verfärbt und eingesunken. Die Triebe knicken an den Befallsstellen um und verwelken. Auf den Blättern treten unregelmäßige, dunkelbraune, häufig zusammenfließende Flecken auf; auch sind die Blattnerven und -Stiele dunkelbraun verfärbt. Die Blütenstände verbräunen und welken. Die Krankheit wird in nassen Jahren, nach Spätfrösten und bei zu reichlichen Stickstoffgaben begünstigt. Jüngere Sträucher leiden im Allgemeinen mehr unter der Krankheit als ältere.
Abhilfe: Zu den vorbeugenden Maßnahmen gegen die Krankheit gehören das Vermeiden frostgefährdeter Lagen und zu hoher Stickstoffgaben. Befallene Pflanzenteile müssen tief bis ins gesunde Gewebe zurückgeschnitten und verbrannt werden.
Fliedermehltau – Microsphaera syringae (M. lonicerae)
Auf Blättern und Trieben bildet sich ein weißer, mehlartiger Belag. Der auch als Oidium syringae bezeichnete Erreger wird besonders in Nordamerika an Freiland- und an Treibflieder schädlich. In Europa ist er bisher nur örtlich sporadisch aufgetreten und war dann meist ohne praktische Bedeutung. In den letzten Jahren wurde aber gelegentlich auch schon ein stärkerer Befall beobachtet. Die Krankheit tritt vor allem an Syringa vulgaris und S. x persicae auf.
Abhilfe: Bisher sind keine direkten Bekämpfungsmaßnahmen nötig gewesen. Zu den im Bedarfsfall geeigneten Fungiziden gibt der amtliche Pflanzenschutzdienst konkrete Hinweise.
Silber-, Milch- oder Bleiglanz – Stereum (Chondrostereum) purpureum
Die Blätter verfärben sich glänzend bleiartig silbrig-grau. Sie können im Sommer verbräunen und abgeworfen werden. Einzelne Äste sterben im Laufe mehrerer Jahre nach und nach ab und schließlich erscheinen am Stammgrund rosa, purpurn oder violette konsolenartige Fruchtkörper mit gewelltem Rand. Der pilzliche Erreger dringt über Wunden in die Gehölze ein und breitet sich im Holzteil aus. Die Blattsymptome werden durch eine toxische enzymatische Fernwirkung des Pilzes verursacht, in dessen Folge sich die obere Zellschicht ablöst und der Hohlraum mit Luft füllt. Der Erreger befällt auch Obstgehölze und hier vor allem Pflaumen und Sauerkirschen.
Abhilfe: Direkte chemische Maßnahmen gibt es nicht. Optimale Kulturbedingungen und bedarfsgerechtes Düngen, das zu wüchsigen Gehölzen führt, kann auch gegen diese Krankheit vorbeugen. Schließlich sind befallene Gehölze rechtzeitig zu entfernen, bevor sich die Fruchtkörper ausbilden. Zeigen sich Bleiglanzsymptome erst im Sommer, ohne dass die Blätter absterben, und bilden sich keine Fruchtkörper, so handelt es sich um eine physiologische Störung, von der sich die Gehölze bei guter Pflege wieder erholen können.
Flieder(minier)motte – Xanthospilapterix (Gracillaria) syringella
Auf den Blättern werden ab Frühsommer großflächige, unregelmäßige, braune, teilweise zusammenschrumpfende Flecken sichtbar. Hier sind die Blätter im Inneren durch etwa sieben Millimeter lange, anfangs grünlich-weiße, später bräunliche Raupen weggefressen. Dabei entstehen anfangs breite, hellgrün durchscheinende Miniergänge. Sie werden dann zu Platz- oder Blasenminen erweitert. Ein weiteres Schadbild ist das Entstehen eines von der Blattspitze nach unten eingerollten Blattwickels. Die Blätter verkrüppeln und vertrocknen schließlich vollkommen.
Ab Mai schlüpfen aus den überwinterten Puppen die in der Flügelspannweite zwölf bis 14 Millimeter großen Falter. Sie legen ihre Eier an die Blattrippen unterseits ab. Nach etwa einer Woche schlüpfen die Larven. Diese verlassen nach einer Fraßzeit von einigen Wochen die Blätter zur Verpuppung in einem Gespinst am oder im Boden. Seltener geschieht dies in Blattwickeln oder Triebachsen. Im Juli erscheint die zweite Generation der Schmetterlinge. Die Raupen dieser Generation verpuppen sich im Oktober und überwintern.
Die Fliedermotte ist ein häufiger und fast in jedem Jahr, allerdings in unterschiedlicher Stärke, auftretender Schädling. Außer Flieder werden auch Liguster, Schneebeere, Deutzie, Forsythie und Esche befallen. Das Auftreten der ersten Generation wird meist übersehen, weil deren Schadfraß oft nur sehr gering ist. Durch die zweite Generation können Schäden entstehen, die zu Schmuckwert-Beeinträchtigungen an den Pflanzen führen. Allerdings ist dies bei der dann fortgeschrittenen Jahreszeit nicht mehr so bedeutsam.
Abhilfe: Meist ist eine Bekämpfung nicht erforderlich. Sollte aber bereits die erste Generation sehr stark auftreten, ist es ratsam, sich über mögliche Pflanzenschutzmittel bzw. wirksame Bekämpfungsmaßnahmen beim amtlichen Pflanzenschutzdienst beraten zu lassen.
Fliederblattrüssler – Otiorhynchus rotundatus (u. a. Arten)
Die Blätter werden durch den vier bis sechs Millimeter langen, rotbraunen Käfer buchtenartig vom Rande her befressen. Das Schadbild ist häufig an Flieder zu finden, jedoch wird der Schmuckwert nicht immer deutlich beeinträchtigt. Die Käfer halten sich tagsüber am Grund der Pflanzen unter Laub und ähnlichen Verstecken auf. Sie fressen nur nachts. Die Larven leben im Boden. Neben Flieder werden beispielsweise auch Liguster, Schneebeere, Falscher Jasmin, Lonicera, Cornus und Spiraea befallen.
Abhilfe: Trotz des auffälligen Befallsbildes sind spezielle Bekämpfungsmaßnahmen bisher meist nicht nötig geworden.
Hornissen – Vespa crabro
An Fliederzweigen kommt es gelegentlich vor, dass die Rinde im oberen Teil bis auf den Holzteil von den Hornissen abgeschält wird. Wenn diese Schälstellen einen größeren Umfang annehmen und zweigumfassend werden, sterben die darüber liegenden Teile ab. Aufmerksam wird man zunächst durch das Welken der Blätter. Dann sind aber die Verursacher der „Rindenschälung“ meist nicht mehr zu beobachten.
Die bis zu 40 Millimeter langen Hornissen bauen ihre Nester aus zerkautem Holz. Meist sind die Nester in Höhlungen von Laubbäumen zu finden. Sie können aber auch auf Dachböden, in Schuppen oder in Vogelnistkästen bauen.
Die den Tieren nachgesagte besondere Angriffslust ist nicht nachgewiesen. Sie gehen zwar in Nestnähe gegen Angreifer vor, bei der Nahrungs- oder Baumaterialsuche fliehen sie eher bei Bedrohung. Als Nahrung dienen den Hornissen Nektar, Obst- und Pflanzensäfte. So sind sie zum Beispiel an reifenden Äpfeln und Birnen sowie an Fallobst zu finden. Die Larven werden allerdings mit tierischer Nahrung (lebende Insekten und deren Larven) gefüttert. Es überwintern nur die jungen, voll entwickelten und oft schon begatteten Weibchen in der Erde oder im morschen Holz. Die übrigen „Bewohner“ des Hornissenstaats sterben dann ab. Da es nicht regelmäßig zu solchen Schäden am Flieder kommt und meist nur wenige Triebe eines Busches betroffen sind, ist das Tun der unter Naturschutz stehenden Tiere zu tolerieren.
 
        
                 
   
   
   
   
   
   
   
   
   
  